
An average of 32 trains and 5,728 vehicles cross the Burlington Northern Sante Fe (BNSF) railroad tracks daily – making it one of the busiest rail crossings in Washington
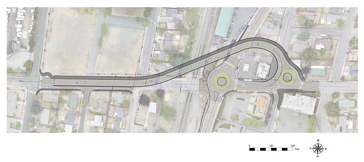
As of March 2026, the city of Washougal is advancing an overcrossing design for the 32nd St Rail Crossing Project to transform a critical quarter mile segment of 32nd Street into a modern, mixed-use roadway without a rail crossing conflict. An average of 32 trains and 5,728 vehicles cross the Burlington Northern Sante Fe (BNSF) railroad tracks daily – making it one of the busiest rail crossings in Washington. Trains frequently block the crossing, creating traffic backups and safety risks.

Over the past few months, the city has evaluated two different options for the design of the 32nd St Rail Crossing Project – an undercrossing design where travelers would use a tunnel to pass under the railroad tracks, and an overcrossing design where travelers would use a bridge to cross over the tracks.
Part of the process of evaluating project alternatives includes assessing potential risks for each design to determine which design is the most cost effective. The city has worked with partners at BNSF railway to understand what risks and impacts to BNSF operations are associated with the undercrossing design, as well as conducted subsurface investigation of the area around the crossing (including drilling, sampling, and geophysical testing in the soil and rock) which identified increased risk associated with working under the railroad tracks.
Based on the results of this risk assessment, the city determined that the overcrossing design has significantly less risk, making it the most cost-effective option. The risks associated with the undercrossing design are unpredictable, creating increased potential for unexpected costs, and could pose barriers to project completion. The undercrossing design could cost up to $18 million dollars more than the overcrossing design.
In addition to minimizing risk and lowering cost, the overcrossing design allows for a shorter and more reliable construction schedule, results in improved pedestrian access south of the railroad tracks and requires fewer commercial property acquisitions.
Next, the city will evaluate the impacts of the overcrossing design as part of an environmental analysis under the National Environmental Protect Act (NEPA) and share results at an Open House later this spring.
Once complete, the 32nd St Rail Crossing Project will improve safety by separating trains from people driving, walking, and rolling and allowing for unimpeded emergency access. It will also eliminate railroad crossing delays, reduce emissions from idling vehicles, add capacity for a future third railroad track to increase freight and economic opportunity, and minimize flood risk with improved stormwater infrastructure.
For project updates and to sign up for the 32nd Street Rail Crossing newsletter, visit https://cityofwashougal.us/RailCrossing.
Information provided by the city of Washougal.
Also read:
- Final Supplemental Environmental Impact Statement published for Interstate Bridge Replacement ProgramFederal agencies published the final environmental impact statement for the Interstate Bridge replacement project.
- Speed cameras designed to bring added safety to work zonesWSP issued 65,000 infractions in first year, with 59,000 being penalty-free first offenses as program expands statewide.
- Marie Gluesenkamp Perez seeks federal assistance in combating sea lion predation of salmon & steelhead fishing stockCongresswoman pushes for expanded lethal removal authority as sea lions devour Columbia River fish stocks.
- Opinion: The high cost of hiding – Why IBR’s delayed revenue study is a $15 billion warning signIBR delays critical toll revenue analysis until June 2027, hiding financial details until after project approval.
- Opinion: The high cost of hiding – Why IBR’s delayed revenue study is a $15 billion warning signIBR delays critical toll revenue analysis until June 2027, hiding financial details until after project approval.






